조황관리HOME / 조황관리 / 상세정보

제목 : 3/9(일.1물)무창포 엔조이호 먼침선 개우럭 출조 조황 010-7434-0058
등록일 : 2025-03-09



#출조모집 #출조안내 #조황정보 #침선#우럭
#쭈꾸미 #갑오징어 #선상전문 #무창포엔조이호
#010-7434-0058
 

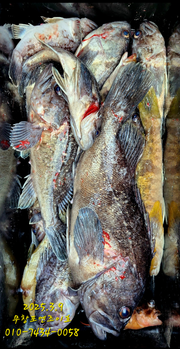
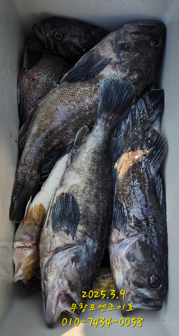
2025.3.9
무창포 엔조이호 소수인원8분 모시고 먼침선
개우럭 출조 잘 다녀왔습니다.
 

하루가 멀다하게 미친듯이 바람이 불더니 오늘은
해무 때문에 싸늘하긴 했지만 정말 오랜만에 바다가
잔잔하니 낚시하기 딱좋은 날씨였네요.
 

100%만족할만큼의 조과는 아니지만 나름 선방한 하루입니다.

하루종일 열낚해주신 우리 조사님들 정말 고생 많으셨습니다.
귀가길 안전운전하시고 즐거운 저녁시간 보내세요.
감사합니다^^
1000058104.jpg


1000058094.jpg


1000058075.jpg


1000058076.jpg


1000058073.jpg


1000058078.jpg


1000058080.jpg


1000058072.jpg


1000058074.jpg


1000058079.jpg

1000058097.jpg


1000058100.jpg


1000058103.jpg


1000058102.jpg


1000058098.jpg


1000058096.jpg


1000058088.jpg


1000058091.jpg


1000058090.jpg


1000058093.jpg


1000058092.jpg


1000058082.jpg


1000058104.jpg


1000058094.jpg


Screenshot_20240827_175944_KakaoTalk.jpg


Screenshot_20240827_180054_KakaoTalk.jpg


1724749128033-13.jpg

 



=== 무창포 엔조이호 예약문의 ===

■ 출조점 오시는길 : 충남 보령시 웅천읍 무창포로 306-1
■ 출항지 오시는길 : 충청남도 보령시 웅천읍 관당리 무창포항
■ 홈페이지 : http://enjoy.sunsang24.com/
■ 네이버밴드 : https://band.us/band/72045328

■ 엔조이호 예약문의 
예약문의 : 010-7434-0058

Top