조황관리HOME / 조황관리 / 상세정보

제목 : 12/13(일.무시)무창포 엔조이호 먼침선 우럭•열기 조황 010-7434-0058
등록일 : 2025-12-13



#출조모집 #출조안내 #조황정보 #침선#우럭
#쭈꾸미 #갑오징어 #선상전문 #무창포엔조이호
#010-7434-0058
 

2025.12.13
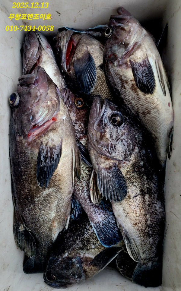
무창포 엔조이호 먼침선 우럭•열기 조황^^
 

무창포 엔조이호 먼침선 우럭 출조 잘 다녀왔습니다.
 

포인트 도착과 함께 우럭 열기가 잘 나와줬는데
야속하게도 반갑지 않은 비가 내리더니 바람까지
불어대고~~~왜??왜??
주말만 되면 날씨가 엉망이 되는걸까요?
날씨만 좋았더라면 얼마나 좋았을까 하는 아쉬움이
남는 하루입니다.
 

추운날씨에 엔조이호와 함께 해주신 우리 조사님들
정말 고생 많으셨습니다.
귀가길 안전운전하시고 즐거운 저녁시간 보내세요.
감사합니다.
Screenshot_20251213_170701_Gallery.jpg


Screenshot_20251213_145006_Gallery.jpg


Screenshot_20251213_144934_Gallery.jpg


Screenshot_20251213_145103_Gallery.jpg


Screenshot_20251213_144917_Gallery.jpg


Screenshot_20251213_145028_Gallery.jpg


Screenshot_20251213_144906_Gallery.jpg


Screenshot_20251213_144828_Gallery.jpg


Screenshot_20251213_144848_Gallery.jpg


Screenshot_20251213_144813_Gallery.jpg

Screenshot_20251213_145134_Gallery.jpg


Screenshot_20251213_145155_Gallery.jpg


Screenshot_20251213_144217_Gallery.jpg





Screenshot_20251213_170430_Gallery.jpg


20251213_142228.jpg


Screenshot_20251213_165312_Gallery.jpg


Screenshot_20251213_170249_Gallery.jpg


Screenshot_20251213_144450_Gallery.jpg


Screenshot_20251213_144727_Gallery.jpg


Screenshot_20251213_144139_Gallery.jpg


Screenshot_20251213_144600_Gallery.jpg


Screenshot_20251213_170701_Gallery.jpg


1757850468012.jpg


1758433822738.jpg


1724749128033-13.jpg

 



=== 무창포 엔조이호 예약문의 ===

■ 출조점 오시는길 : 충남 보령시 웅천읍 무창포로 306-1
■ 출항지 오시는길 : 충청남도 보령시 웅천읍 관당리 무창포항
■ 홈페이지 : http://enjoy.sunsang24.com/
■ 네이버밴드 : https://band.us/band/72045328

■ 엔조이호 예약문의 
예약문의 : 010-7434-0058

Top