조황관리HOME / 조황관리 / 상세정보

제목 : 2/13(금.2물)무창포 엔조이호 먼침선 우럭 출조 조황 010-7434-0058
등록일 : 2026-02-13



#출조모집 #출조안내 #조황정보 #침선 #우럭
#쭈꾸미 #갑오징어 #선상전문 #무창포엔조이호
#010-7434-0058
 

2026.2.13
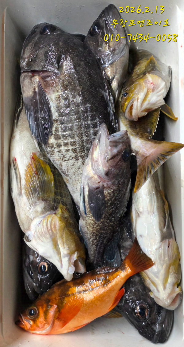
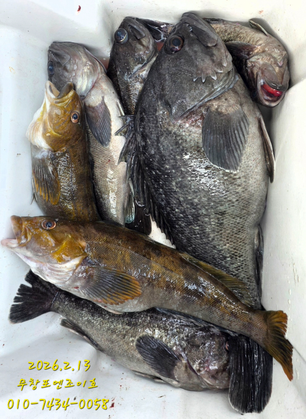
무창포 엔조이호 먼침선 우럭 출조 조황^^
 

무창포 엔조이호 소수인원으로 먼침선 우럭 출조 잘
다녀왔습니다.

씨알좋고 빵좋은 개우럭이 낚이긴 했지만 마릿수가
너~~~~~~~~~~무 아쉬운 하루입니다.
 

오늘보다 내일이 더 좋을거란 기대를 해보면서 오늘
일정 마무리 잘 했습니다.
 

추운날씨에 엔조이호와 함께 해주신 우리 조사님들
정말 고생 많으셨습니다 .
귀가길 안전운전하시고 즐거운 설명절 보내세요.
새해 복 많이 받으세요. 감사합니다.
Screenshot_20260213_193307_Gallery.jpg


Screenshot_20260213_145420_Gallery.jpg


Screenshot_20260213_145429_Gallery.jpg


Screenshot_20260213_145407_Gallery.jpg


Screenshot_20260213_145342_Gallery.jpg


Screenshot_20260213_191857_Gallery.jpg


Screenshot_20260213_191822_Gallery.jpg


Screenshot_20260213_192718_Gallery.jpg


Screenshot_20260213_172429_Gallery.jpg


Screenshot_20260213_172452_Gallery.jpg

Screenshot_20260213_192702_Gallery.jpg


Screenshot_20260213_145532_Gallery.jpg


Screenshot_20260213_145508_Gallery.jpg


Screenshot_20260213_193307_Gallery.jpg


1757850468012.jpg


1758433822738.jpg


1724749128033-13.jpg




=== 무창포 엔조이호 예약문의 ===

■ 출조점 오시는길 : 충남 보령시 웅천읍 무창포로 306-1
■ 출항지 오시는길 : 충청남도 보령시 웅천읍 관당리 무창포항
■ 홈페이지 : http://enjoy.sunsang24.com/
■ 네이버밴드 : https://band.us/band/72045328

■ 엔조이호 예약문의 
예약문의 : 010-7434-0058

Top